薬で治す歯周病(歯周内科治療)について
歯周病の原因とは
歯周病は、歯周病関連菌といわれる菌(以下「歯周病菌」と記載します)が炎症を引き起こすといわれています。歯周病菌は、歯垢(プラーク)という細菌の固まりの中に存在します。口の中で細菌はバイオフィルムという薄い膜を作り歯に張りついています。
位相差顕微鏡を用いて歯垢(プラーク)を検査すると歯周病菌の様子を調べることができます。歯周病にかかっている場合は歯垢(プラーク)は歯周病菌の数が多く、活動性が高い様子が分かります。

最新の歯周病治療
歯周病は菌が原因です。従来の治療は、その菌を減らすために患者さんに一生懸命、歯ブラシで磨いてもらっていました。歯科医院では歯石を削り取ったり、ひどい場合は悪い歯ぐきを手術で切り取ったり、歯を抜いてしまうこともありました。
しかし、風邪などの病気も菌が原因で起こる病気ですが、内科や薬局でお薬を処方してもらって治療します。昔は肺結核も胃潰瘍も外科処置を行っていましたが、現在はお薬で治ります。
そもそも歯周病は菌が原因なのであれば、その菌を薬で除菌すれば治るのではないかという考えで生まれたのが、最新の歯周内科治療なのです。最近では大学の研究室から論文データが続々と出ています。
1.位相差顕微鏡による検査が大切です
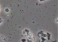
まず、位相差顕微鏡でお口の中の菌を調べます。歯周病菌は日本人の8割が口の中に持っているといわれています。
顕微鏡による検査結果で診断を行い、必要な方にはお薬を使用して除菌治療を行います。除菌前はたくさんの歯周病菌が活発に活動していましたが、3~7日後にはとても穏やかな菌叢になります。
![]() |
![]() |
![]() |
| 除菌前の顕微鏡画像 | 除菌後の顕微鏡画像 |
2.除菌が確認できたら歯石をとります
歯周病の治療や予防には、歯についた歯石を除去することも大切です。歯石は単なる石ではなく、細菌の塊です。歯周病の原因は菌ですから歯石はその原因といえます。
歯周病菌が増加すると歯周病が進行してしまいます。
除菌後は歯石や歯垢が取りやすくなります。しみる感じも減り、歯ぐきからの出血もほとんどありません。
歯石を取り除く時は、お口の中の菌が少ない状態になっているべきです。菌がたくさんいる状態で歯石を取ると血管から菌が入り込んで、全身に回り敗血症になる危険性がありますので注意が必要です。
歯周内科治療の効果
歯周内科治療による お口の中の変化

歯周内科治療による 1週間後の症状の変化


国際歯周内科学研究会監修 [顕微鏡検査のススメ」より引用
歯周病を再発しないために
◇ 歯周病は感染します
歯周病が治ったら再感染に気をつけましょう!
回し飲み、回し食い、箸の使いまわし、キス、くしゃみなどで感染します。
家族から感染しまので、夫婦一緒に治療することをお勧めします。
◇ お口の中を清潔に保つことが大切です
お口の中が清潔であれば歯周病菌が感染する可能性は低くなります。
毎日の歯磨きが大切です。歯科医院でブラッシングのコツを教えてもらいましょう。毎日の歯磨きで歯周病菌が増えることを防ぐことができます。
定期メインテナンス
歯周病をおこす細菌が再感染していないか、また、お口の中が再感染しやすい環境になっていないか、歯科医院での顕微鏡を用いた定期検診を受けるようにしましょう。
自分で一生懸命に歯磨きをしても必ず磨けない場所がありますので、定期的に歯科医院でクリーニングを受けましょう!歯石や歯垢をしっかり除去することで歯周病を予防することができます。
下のグラフのデータでは、治療だけを受けたひとは45歳ごろから歯を失い始め、年齢が高くなるにつれ残っている歯が少なくなり、80歳では6~7本になってしまっています。それに比べ、定期メインテナンスを受けた人は失う歯の本数がかなり少なくなるのです。
歯のトラブルで悩まない快適な人生を過ごすためにも定期メインテナンスを受ける習慣を身につけましょう!

(山形県酒田市 日吉歯科診療所調べ)



